光の丘水辺公園の虫たち

| トップページ | はじめに | グループ別検索  / その他 | 50音順検索 | 光の丘水辺公園について | 水辺公園友の会 | データ | あとがき |

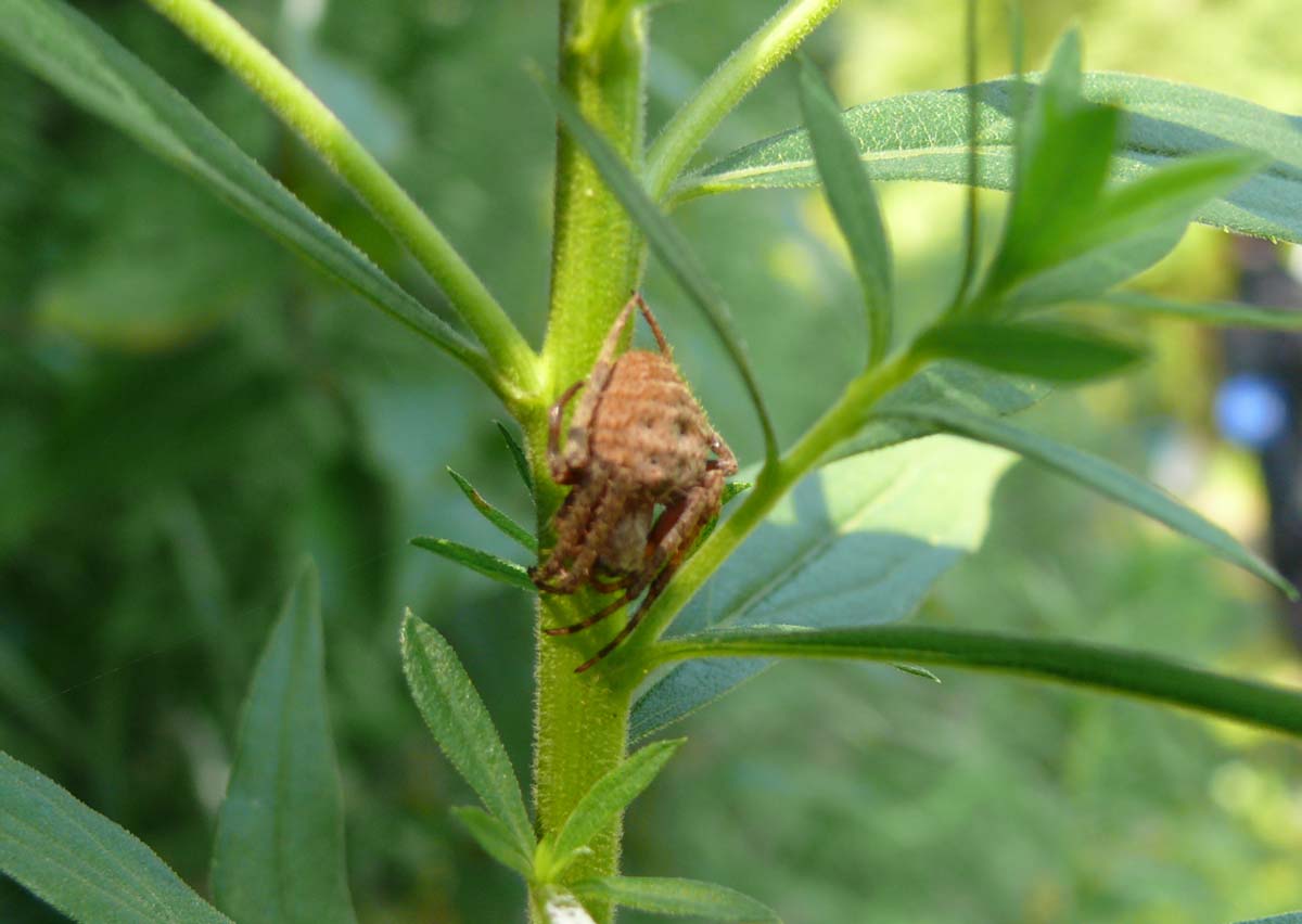
previous  ヤエンオニグモ    @ next
 コガネグモ科  2008.9.12 [ SB ]
 
 
Copyright(C) 2010 水辺公園友の会 All Rights Reserved.